二重鎖DNA(dsDNA)をヒト表皮細胞に導入することによって細胞老化が誘導され、そのメカニズムにATRが関与していることを日本生化学会近畿支部例会で発表
化粧品、医薬部外品、健康食品などの研究・開発・製造および販売を手がける株式会社セプテム総研(本社:大阪府大阪市、代表取締役社長:石神政道)は、柏倉淳一教授(北海道科学大学 薬学部)、今道友純博士(Frederick National Laboratory for Cancer Research, Applied and Developmental Research Directorate)、芦高恵美子教授(大阪工業大学生命工学会)との共同研究で2024年5月25日(土) に開催された第70回日本生化学会近畿支部例会で「二重鎖DNA導入で誘導される細胞老化へのATRの関与」というテーマで発表しました。
【研究背景・目的】
1961年、HayflickとMoorheadがヒト肺胞線維芽細胞をin vitroで培養し、継代を重ねることで細胞分裂が停止する、いわゆるHayflick-limitを報告して以来、細胞老化の研究が盛んに行われるようになった。それらの研究の中でSenescence associated-β-galactosidase (SA-β-Gal )、DNA損傷反応に関与するγ-H2AX,IL-6,IL-8,TNF-αなどの炎症性サイトカインをはじめとする様々なたんぱく質が分泌されるSenescence Associated Secretory Phenotype (SASP)などが老化細胞のマーカーとして同定されている。また最近、マウス胚線維芽細胞でdsDNAが細胞質に存在することが細胞老化のマーカーとなることも報告されている。近年、アンチエイジングへの関心が高まる中で、細胞老化に関する研究はさらに盛んになり、細胞老化の予防や老化細胞の除去など様々なアプローチが提唱されている。しかし、細胞分裂が停止するという老化細胞の特徴から抗老化物質を探索するために必要な老化細胞数を確保することは難しい。そこで、我々は新たに老化細胞マーカーとして提唱されたdsDNAを正常表皮細胞に導入することで、細胞老化が惹起されるのか?惹起された場合どのようなメカニズムで細胞老化が進行するのか?その培養系は抗老化物質探索に適しているのか?を検討するために研究を行った。
▼セプテム総研|詳細レポート:
https://septem-so.com/wp-content/uploads/2024/07/press_240724.pdf
【研究結果】
1) dsDNAを表皮細胞に導入することで細胞老化が誘導された。
2) dsDNAによって誘導される表皮細胞の老化がATR阻害剤AZ20で抑制された。
<結果の詳細>
■dsDNA導入によって引き起こされる表皮細胞の老化
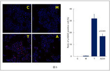
合成した90bpのdsDNAを正常表皮細胞に導入したところ、細胞老化マーカーのゴールドスタンダードであるSA-β-Gal活性が対照群 (C)、Mock群(遺伝子導入試薬のみを添加) (M) に比較してdsDNA導入群 (T)で増加した(図1)。

DNA損傷反応に関与するγ-H2AXの発現を免疫蛍光染色で検討したところ、図2に示したようにdsDNAを導入すると明らかにその発現が亢進した。

SASPの代表例としてIL-6とIL-8のmRNA発現量を定量的PCR法によって検討した。SA-β-Gal活性およびγ-H2AX発現と同様にIL-6とIL-8のmRNA発現量はdsDNAを表皮細胞に導入することによって有意に増加した(図3)。

以上の結果より、dsDNAの表皮細胞への導入は細胞老化を誘導することが示唆された。
■dsDNA導入で引き起こされる細胞老化へのATRの関与
ataxia telangiectasia and Rad3-related (ATR)はDNA損傷時に活性化されることが知られているセリン/スレオニンキナーゼでp62などをリン酸化することが知られている。ATRのdsDNA誘導細胞老化への関与を検討するために市販されているATRの阻害剤AZ20を用いて実験を行った。
dsDNAによって亢進したIL-6とIL-8のmRNA発現はAZ20を添加することで有意かつ用量相関的に抑制された(図4)。

dsDNAによって発現が増加したSA-β-Gal活性に対するAZ20の効果をIL-6とIL-8のmRNA発現に対して最も抑制的に作用した10μMの濃度で検討したところ、SA-β-Gal活性の発現が有意に抑制された(図5)。

10μM AZ20はγ-H2AXの発現に対しても同様に有意な抑制効果を示しました(図6)。

【まとめ】
新たに細胞老化マーカーとして提唱されたdsDNAを表皮細胞に導入することで細胞老化が誘導されることを示した。さらに、その老化メカニズムにリン酸化酵素の一つであるATRが関与することを明らかにした。
今回の実験では細胞分裂が盛んな4継代目を用いており抗老化物質の探索に必要な細胞数を確保することが容易であることから、さらなるメカニズムを解明することで抗老化物質探索のための実験系を提供できる可能性が示唆された。
<今後の展開>
このモデルのメカニズムの解明は老化のメカニズムの解明につながるばかりでなく抗老化の新規作用点を明らかにする可能性があり、よりピンポイントでの解明を進める。
【株式会社セプテム総研について】
本 社:〒530-0003 大阪府大阪市北区堂島2-4-27 JRE堂島タワー13F
代表者:代表取締役社長 石神政道
電話番号:06-6347-1010(代表)
FAX:06-6344-0020
事業内容:
●化粧品、医薬部外品、ヘアケア、ボディケア商品の研究・開発・製造および販売
●栄養補助食品の研究・製造および販売
●美容機器の研究・企画および販売
●OEMおよびODM
【研究概要】
■研究目的:細胞老化のメカニズム解明と細胞老化モデルの確立
■研究方法:ヒト正常表皮細胞を使用してdsDNAを細胞質に導入することによって細胞老化を誘導するモデルを作成する
【データに関するお問い合わせ】
公式サイトに掲載されている個人情報保護方針を確認・同意のうえ、下記メールアドレスへお願いします(データの無断転用はお断りしています)。
▼メールアドレス:customer-so@septem-so.com
ログインするとメディアの方限定で公開されている
お問い合わせ先や情報がご覧いただけます
添付画像・資料
添付画像をまとめてダウンロード
企業情報
| 企業名 | 株式会社セプテム総研 |
|---|---|
| 代表者名 | 石神 政道 |
| 業種 | ファッション・ビューティー |
コラム
株式会社セプテム総研の
関連プレスリリース
-
医療機関専用商品ブランド「ラメッセ」より、医師の声から生まれた "ダメージ爪" と "未来の爪" のための爪美容液「ラメッセ PC ネイルケアシスト」を発売!
2026年3月24日 16時
-
ハリや潤いに満ちた健康な肌に導く、リッチペプチドプラセンタ(※2) 配合美容液「ラメッセ PC リボライズセラム」新発売
2025年11月21日 11時
-
【桜美林大学との共同研究】気分が肌状態や自律神経に及ぼす影響について研究をおこない、日本健康心理学会第38回大会で発表
2025年11月20日 12時
-
73.8%の同年代女性から、あなたの髪の状態は見られている!女性の3大髪悩み「白髪」「パサつき」「うねり」を年代別に徹底リサーチ、分析結果を一挙公表
2025年6月27日 16時
株式会社セプテム総研の
関連プレスリリースをもっと見る